ขายที่ดิน เนื้อที่ 76 ตร.วา ปากเกร็ด นนทบุรี

ประเภทอสังหาฯ ที่ดิน

ทดสอบ
Verified
(064) 298-7455
เข้าชม 😲  35 ครั้ง, ประกาศเมื่อ 17 ส.ค. 2568
ปากเกร็ด , จังหวัดนนทบุรี

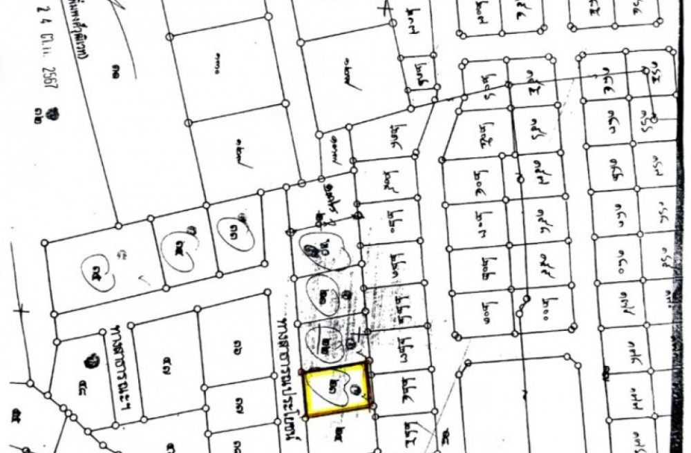
ที่ดิน : ปากเกร็ด นนทบุรี
ที่ตั้ง : ซ. ท่าอิฐ ถนน รัตนาธิเบศร์ ต.ท่าอิฐ อ.ปากเกร็ด จ.นนทบุรี
รหัสทรัพย์ : T-119216

ประเภท : ที่ดิน
เนื้อที่ : 76.0 ตารางวา
กว้าง : 15.00 เมตร ลึก : 21.00 เมตร

รายละเอียดเพิ่มเติม : ที่ดินถมแล้ว ในโครงการบ้านพิมานปรีดา ท่าอิฐเหมาะสำหรับ สร้างบ้าน ทำสถานรับเลี้ยงผู้สูงอายุ เฮลท์แคร์ ทำโกดังเก็บสินค้า
ทำคลังสินค้า มีน้ำไฟพร้อม

สถานที่ใกล้เคียง
รถไฟฟ้าสายสีม่วง สถานีไทรม้า
บิ๊กซีท่าอิฐ ตลาดท่าอิฐ อบตท่าอิฐ
บุญถาวร Walking Space ราชพฤกษ์
index ราชพฤกษ์ โรงเรียน เด่นหล้าราชพฤกษ์
เข้าออกได้หลายทาง ถนนรัตนาธิเบศร์
ถนนราชพฤกษ์

ราคา : 2,350,000 บาท

ลิงค์แผนที่ : https://maps.google.com/?q=13.90038264,100.46744448

**เรามีบริการจัดสินเชื่อให้ฟรี พร้อมยินดีให้คำปรึกษา มีให้เลือกทุกธนาคาร**
**พร้อมอัตราดอกเบี้ยพิเศษ และ วงเงินสูงสุด 90-100% ของราคาประเมิน**

สนใจสอบถามข้อมูลเพิ่มเติม หรือ นัดชมบ้านได้ที่
Tel : 0898974165 นะ (รหัสตัวแทน 2974)
Line ID : thank777
Tel : 0992893224 นก (รหัสตัวแทน 2974-1)
Line ID : radchada2456

Callcenter : 02-047-4282

สนใจดูทรัพย์อื่นๆ เพิ่มเติม มากกว่า 3,000 รายการ
www.tb.co.th

The Best Property Agent CO,.LTD. ผู้นำด้านธุรกิจนายหน้า ตัวแทนอสังหาริมทรัพย์ครบวงจร ด้วยความเป็นมืออาชีพ ใช้เทคโนโลยี และ นวัตกรรมที่สร้างสรรค์ เพื่อส่งมอบบริการที่ดีที่สุดเพื่อคุณ ให้บริการด้าน ซื้อ ขาย เช่า อสังหาริมทรัพย์

พื้นที่ : 76ไร่

ปากเกร็ด , จังหวัดนนทบุรี

คำแนะนำสำหรับผู้ขาย

เราให้ผู้ประกอบการสามารถลงประกาศอสังหาฯ เช่น คอนโด บ้านเดี่ยว ทาวน์เฮ้าส์ ที่ดิน หอพัก อพาร์ทเม้นท์ อสังหาริมทรัพย์ครอบคลุมทุกประเภท สมัครสมาชิกและลงประกาศโครงการของคุณได้ฟรี

คำแนะนำสำหรับผู้เช่า

การเช่าอสังหาฯ ขึ้นอยู่กับดุลยพินิจของผู้เช่า แนะนำให้ติดต่อและขอรายละเอียดผู้ประกาศให้เช่า อสังหาริมทรัพย์ เราไม่มีส่วนเกี่ยวข้องให้การทำธุรกรรมของคุณทั้ง 2 ฝ่าย เป็นเพียงผู้ให้บริการประชาสัมพันธ์เพื่อขยายโอกาสและช่องทางให้ผู้ประกอบ การและผู้เช่าให้มากขึ้น

คำแนะนำสำหรับผู้ซื้อ

การซื้อ-ขาย อสังหาฯ ทีมงานจะตรวจสอบความถูกต้องของข้อมูลในระดับหนึ่ง ก่อนที่จะอนุมัติให้ประกาศแสดงผลบนหน้าเว็บไซต์ ซึ่งจะช่วยให้คุณได้ข้อมูลที่ถูกต้อง ทั้งนี้ทั้งนั้นคุณควรตรวจสอบข้อมูล คำแนะนำ และคำเตือนอย่างละเอียด เพื่อป้องมิจฉาชีพหรือผู้ไม่หวังดี

เกี่ยวกับเว็บไซต์

Urban.in.th เว็บไซต์อสังหาฯที่รวม คอนโด บ้านเดี่ยว ทาวน์เฮ้าส์ ที่ดิน หอพัก อพาร์ทเม้นท์ – เราเป็นศูนย์กลางข้อมูลการซื้อ ขาย ให้เช่าอสังหาริมทรัพย์ในประเทศไทย ซึ่งคุณสามารถค้นหา อสังหาฯ ที่ต้องการได้ทันที จากรายการประกาศซื้อ ขาย ให้เช่าอสังหาฯ พร้อมทั้งรูปภาพ แผนที่ วีดีโอและเอกสารอื่นได้อย่างสะดวก รวดเร็ว