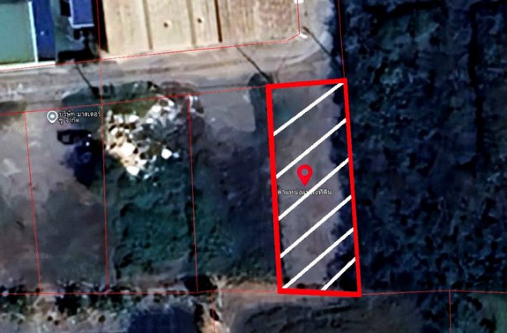
ที่ดินเปล่า 110 ตรว. แปลงมุม ถมแล้ว บางคูวัด บางบัวทอง นนทบุรี

ประเภทอสังหาฯ ที่ดิน

ทดสอบ
Verified
(096) 666-6666
เข้าชม 😲  94 ครั้ง, ประกาศเมื่อ 9 ต.ค. 2568
บางบัวทอง , จังหวัดนนทบุรี

ที่ดินเปล่า 110 ตรว. แปลงมุม ถมแล้ว บางคูวัด บางบัวทอง นนทบุรี

รหัสทรัพย์ :16638
ประเภท :ที่ดินเปล่า
โครงการ :ที่ดินเปล่า 110 ตรว. แปลงมุม ถมแล้ว บางคูวัด บางบัวทอง นนทบุรี
ที่ตั้ง :ถ.เลียบคลองประปามหาสวัสดิ์ ต.บางคูวัด อ.บางบัวทอง จ.นนทบุรี
โซน :โซน D
เนื้อที่ :110 ตร.ว.

ที่ดินเปล่า เนื้อที่ 110 ตารางวา เป็นที่ดินแปลงมุม ทำการถมที่แล้ว หน้ากว้างประมาณ 13 เมตร ลึกประมาณ 34 เมตร

ราคาถูก เหมาะสำหรับทำที่พักอาศัย หรือ ทำธุรกิจ เพราะในระแวกเดียวกัน ก็มีทั้งหมู่บ้านจัดสรร บริษัทห้างร้านต่างๆ

ตำแหน่งที่ดิน อยู่ซอยธรรมชาติ 1 ถนนเลียบคลองประปามหาสวัสดิ์ ไม่ไกลหาดเต็มรักบางบัวทอง คือทะเลแห่งจังหวัดนนทบุรี สถานที่พักผ่อนหย่อนใจของทุกวัย สไตล์ทะเล้ ทะเล

สถานที่ใกล้เคียง ใกล้หมู่บ้านปีกไม้ ใกล้สนามฟุตบอลบางคูรัดสปอร์ตคลับ ใกล้ร้านไทรเกาหลีบางบัวทอง ใกล้บ่อตกปลาลุงเปี๊ยก

ใกล้ทางหลวงพิเศษหมายเลข 81 บางบัวทอง-กาญจนบุรี น้ำตกเอราวรรณ สะพานข้ามแม่น้ำแคว ก็แค่ปากซอย ใกล้ห้างสรรพสินค้าชั้นนำ เซ็นทรัลเวสเกตุ บิ๊กซีเอ๊กซ์ตร้าบางใหญ่ โฮมโปรบางบัวทอง ฯลฯ

สนใจติดต่อ บริษัท นัมเบอร์วัน โบรกเกอร์ จำกัด
09-68-80-94-98 // 02-591-7860
ยกทุกปัญหาการขายบ้าน ให้ทีมงานมืออาชีพ สิคะ
WWW.NUMBERONE.CO.TH

พื้นที่ : 1งาน 10ตรว.

บางบัวทอง , จังหวัดนนทบุรี

คำแนะนำสำหรับผู้ขาย

เราให้ผู้ประกอบการสามารถลงประกาศอสังหาฯ เช่น คอนโด บ้านเดี่ยว ทาวน์เฮ้าส์ ที่ดิน หอพัก อพาร์ทเม้นท์ อสังหาริมทรัพย์ครอบคลุมทุกประเภท สมัครสมาชิกและลงประกาศโครงการของคุณได้ฟรี

คำแนะนำสำหรับผู้เช่า

การเช่าอสังหาฯ ขึ้นอยู่กับดุลยพินิจของผู้เช่า แนะนำให้ติดต่อและขอรายละเอียดผู้ประกาศให้เช่า อสังหาริมทรัพย์ เราไม่มีส่วนเกี่ยวข้องให้การทำธุรกรรมของคุณทั้ง 2 ฝ่าย เป็นเพียงผู้ให้บริการประชาสัมพันธ์เพื่อขยายโอกาสและช่องทางให้ผู้ประกอบ การและผู้เช่าให้มากขึ้น

คำแนะนำสำหรับผู้ซื้อ

การซื้อ-ขาย อสังหาฯ ทีมงานจะตรวจสอบความถูกต้องของข้อมูลในระดับหนึ่ง ก่อนที่จะอนุมัติให้ประกาศแสดงผลบนหน้าเว็บไซต์ ซึ่งจะช่วยให้คุณได้ข้อมูลที่ถูกต้อง ทั้งนี้ทั้งนั้นคุณควรตรวจสอบข้อมูล คำแนะนำ และคำเตือนอย่างละเอียด เพื่อป้องมิจฉาชีพหรือผู้ไม่หวังดี

เกี่ยวกับเว็บไซต์

Urban.in.th เว็บไซต์อสังหาฯที่รวม คอนโด บ้านเดี่ยว ทาวน์เฮ้าส์ ที่ดิน หอพัก อพาร์ทเม้นท์ – เราเป็นศูนย์กลางข้อมูลการซื้อ ขาย ให้เช่าอสังหาริมทรัพย์ในประเทศไทย ซึ่งคุณสามารถค้นหา อสังหาฯ ที่ต้องการได้ทันที จากรายการประกาศซื้อ ขาย ให้เช่าอสังหาฯ พร้อมทั้งรูปภาพ แผนที่ วีดีโอและเอกสารอื่นได้อย่างสะดวก รวดเร็ว