ขายที่ดินยกแปลง ใจกลางเมืองติดถนน 2 ด้าน ติดถนนมะลิวัลย์ จังหวัดขอนแก่น

ประเภทอสังหาฯ ที่ดิน

ทดสอบ
Verified
(093) 923-0694
เข้าชม 😲  30 ครั้ง, ประกาศเมื่อ 24 ธ.ค. 2568
หนองเรือ , จังหวัดขอนแก่น

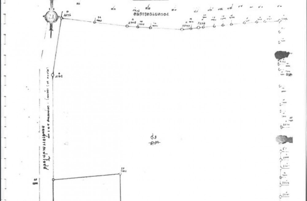
ขายที่ดินยกแปลง ใจกลางเมืองติดถนน 2 ด้าน ติดถนนมะลิวัลย์ จังหวัดขอนแก่น

ที่ตั้ง : ตำบลดอนมู อำเภอหนองเรือ จังหวัดขอนแก่น

ขนาดพื้นที่ : 25 ไร่ 1 งาน 82.8 ตารางวา

รายละเอียด
ที่ดินยกแปลง ใจกลางเมืองติดถนน 2 ด้าน
ติดถนนมะลิวัลย์
10,182.80 ตารางวา (ราคาต่อตารางวา 5,750)

สถานที่ใกล้เคียง
- สำนักงานเทศบาลตำบลดอนโมง


ราคายกแปลง 58,546,500 บาท
(ไร่ละ 2,300,000)
เจ้าของขายเอง (ค่าโอนคนละครึ่ง ต่อรองได้)

สนใจติดต่อ 086-458-2288

พื้นที่ : 25ไร่ 1งาน 82ตรว.

หนองเรือ , จังหวัดขอนแก่น

คำแนะนำสำหรับผู้ขาย

เราให้ผู้ประกอบการสามารถลงประกาศอสังหาฯ เช่น คอนโด บ้านเดี่ยว ทาวน์เฮ้าส์ ที่ดิน หอพัก อพาร์ทเม้นท์ อสังหาริมทรัพย์ครอบคลุมทุกประเภท สมัครสมาชิกและลงประกาศโครงการของคุณได้ฟรี

คำแนะนำสำหรับผู้เช่า

การเช่าอสังหาฯ ขึ้นอยู่กับดุลยพินิจของผู้เช่า แนะนำให้ติดต่อและขอรายละเอียดผู้ประกาศให้เช่า อสังหาริมทรัพย์ เราไม่มีส่วนเกี่ยวข้องให้การทำธุรกรรมของคุณทั้ง 2 ฝ่าย เป็นเพียงผู้ให้บริการประชาสัมพันธ์เพื่อขยายโอกาสและช่องทางให้ผู้ประกอบ การและผู้เช่าให้มากขึ้น

คำแนะนำสำหรับผู้ซื้อ

การซื้อ-ขาย อสังหาฯ ทีมงานจะตรวจสอบความถูกต้องของข้อมูลในระดับหนึ่ง ก่อนที่จะอนุมัติให้ประกาศแสดงผลบนหน้าเว็บไซต์ ซึ่งจะช่วยให้คุณได้ข้อมูลที่ถูกต้อง ทั้งนี้ทั้งนั้นคุณควรตรวจสอบข้อมูล คำแนะนำ และคำเตือนอย่างละเอียด เพื่อป้องมิจฉาชีพหรือผู้ไม่หวังดี

เกี่ยวกับเว็บไซต์

Urban.in.th เว็บไซต์อสังหาฯที่รวม คอนโด บ้านเดี่ยว ทาวน์เฮ้าส์ ที่ดิน หอพัก อพาร์ทเม้นท์ – เราเป็นศูนย์กลางข้อมูลการซื้อ ขาย ให้เช่าอสังหาริมทรัพย์ในประเทศไทย ซึ่งคุณสามารถค้นหา อสังหาฯ ที่ต้องการได้ทันที จากรายการประกาศซื้อ ขาย ให้เช่าอสังหาฯ พร้อมทั้งรูปภาพ แผนที่ วีดีโอและเอกสารอื่นได้อย่างสะดวก รวดเร็ว