ขายที่ดินทำเลสวย ซ.นราธิวาส 7 (รหัส A65)

ประเภทอสังหาฯ ที่ดิน

ทดสอบ
Verified
(081) 753-6846
  • อุทัยทิพย์ คณวิวัฒนกูล
  • uthaitip_k@pruksa.com
  • ขาย

  • 2,147,483,647 บาท

เข้าชม 😲  8 ครั้ง, ประกาศเมื่อ 19 ก.พ. 2569
เขตสาทร , จังหวัดกรุงเทพมหานคร

ขายที่ดินทำเลสวย ซ.นราธิวาส 7 (รหัส A65)
ใกล้ BTS ช่องนนทรี, ร.ร.เซนต์โยเซฟ คอนแวนต์,
รพ.บี เอ็น เอช
แหล่งธุรกิจ: สาทร สีลม พระราม 4
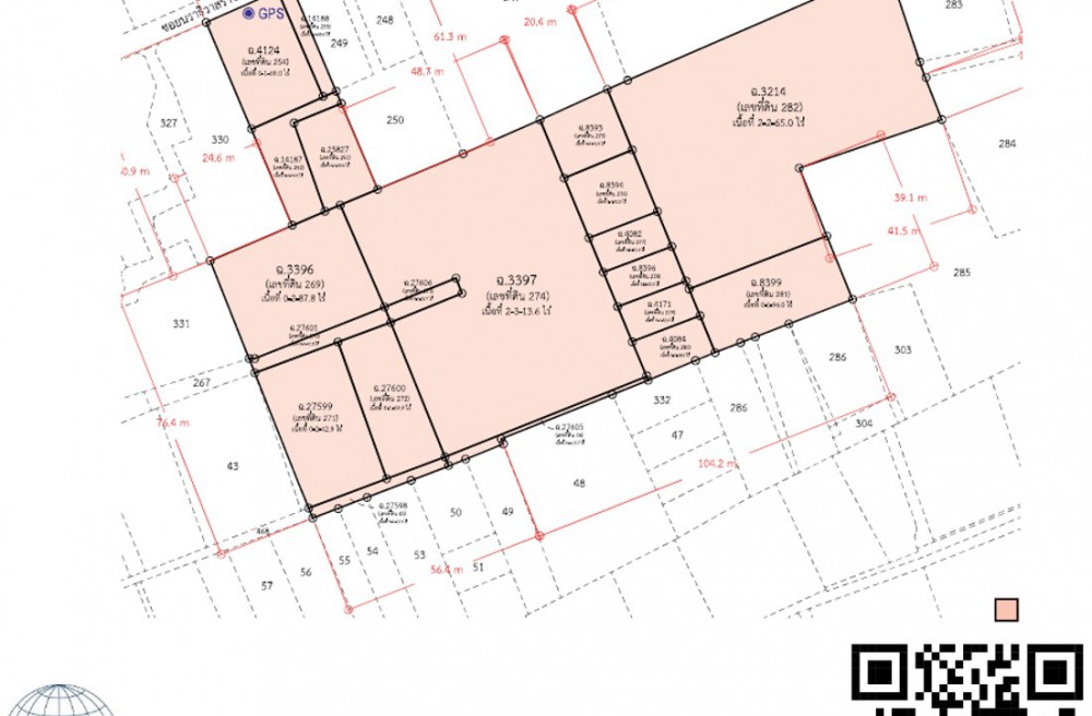
ขนาด: 9-3-59.9 ไร่
หน้ากว้าง 27 เมตร
รวม: 3,966,300,000 บาท
(1,001,616.20 บาท/ตร.วา)

พิกัดที่ดิน: https://maps.app.goo.gl/24zxPA4HdhFTkcwdA
13.721286045607558, 100.5342336441809
สนใจติดต่อ: 092-757-9858, 1739

พื้นที่ : 9ไร่ 3งาน 60ตรว.

เขตสาทร , จังหวัดกรุงเทพมหานคร

คำแนะนำสำหรับผู้ขาย

เราให้ผู้ประกอบการสามารถลงประกาศอสังหาฯ เช่น คอนโด บ้านเดี่ยว ทาวน์เฮ้าส์ ที่ดิน หอพัก อพาร์ทเม้นท์ อสังหาริมทรัพย์ครอบคลุมทุกประเภท สมัครสมาชิกและลงประกาศโครงการของคุณได้ฟรี

คำแนะนำสำหรับผู้เช่า

การเช่าอสังหาฯ ขึ้นอยู่กับดุลยพินิจของผู้เช่า แนะนำให้ติดต่อและขอรายละเอียดผู้ประกาศให้เช่า อสังหาริมทรัพย์ เราไม่มีส่วนเกี่ยวข้องให้การทำธุรกรรมของคุณทั้ง 2 ฝ่าย เป็นเพียงผู้ให้บริการประชาสัมพันธ์เพื่อขยายโอกาสและช่องทางให้ผู้ประกอบ การและผู้เช่าให้มากขึ้น

คำแนะนำสำหรับผู้ซื้อ

การซื้อ-ขาย อสังหาฯ ทีมงานจะตรวจสอบความถูกต้องของข้อมูลในระดับหนึ่ง ก่อนที่จะอนุมัติให้ประกาศแสดงผลบนหน้าเว็บไซต์ ซึ่งจะช่วยให้คุณได้ข้อมูลที่ถูกต้อง ทั้งนี้ทั้งนั้นคุณควรตรวจสอบข้อมูล คำแนะนำ และคำเตือนอย่างละเอียด เพื่อป้องมิจฉาชีพหรือผู้ไม่หวังดี

เกี่ยวกับเว็บไซต์

Urban.in.th เว็บไซต์อสังหาฯที่รวม คอนโด บ้านเดี่ยว ทาวน์เฮ้าส์ ที่ดิน หอพัก อพาร์ทเม้นท์ – เราเป็นศูนย์กลางข้อมูลการซื้อ ขาย ให้เช่าอสังหาริมทรัพย์ในประเทศไทย ซึ่งคุณสามารถค้นหา อสังหาฯ ที่ต้องการได้ทันที จากรายการประกาศซื้อ ขาย ให้เช่าอสังหาฯ พร้อมทั้งรูปภาพ แผนที่ วีดีโอและเอกสารอื่นได้อย่างสะดวก รวดเร็ว