ขายที่ดิน 84.9 ตารางวา ตำบลตาขัน บ้านค่าย ระยอง

ประเภทอสังหาฯ ที่ดิน

ทดสอบ
Verified
(097) 056-4510
เข้าชม 😲  7 ครั้ง, ประกาศเมื่อ 8 เม.ย. 2569
บ้านค่าย , จังหวัดระยอง

ZT917

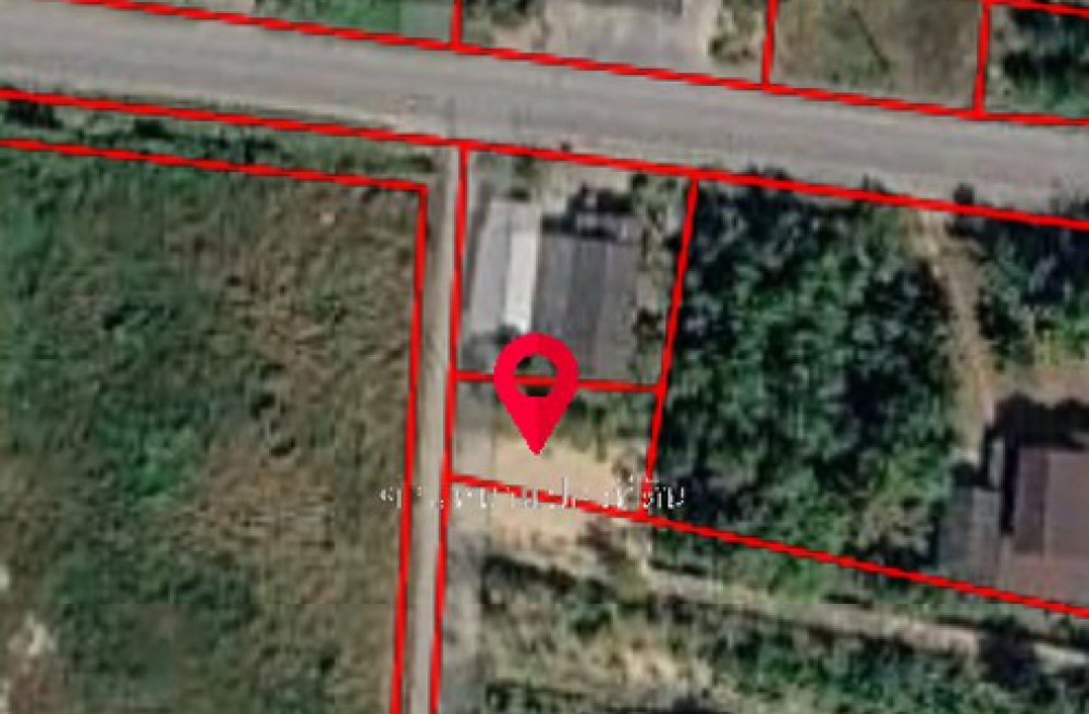
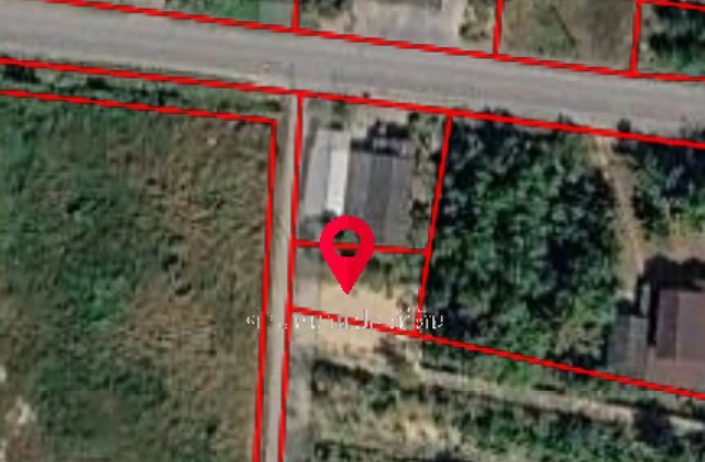
ขายที่ดิน อำเภอบ้านค่าย จังหวัดระยอง
เนื้อที่ 84.9 ตารางวา
กว้าง 12 เมตร ลึก 23 เมตร

ที่ตั้ง : ตำบลตาขัน อำเภอบ้านค่าย จังหวัดระยอง

สถานที่ใกล้เคียง
-วัดหนองคอกหมู -ตลาดนัดหนองคอกหมู, ตลาดโขดหิน, โลตัสโกเฟรช, 7-Eleven, และคาเฟ่สไตล์ธรรมชาติอย่าง คลองหลังบ้าน Cafe camp

ราคา 1,200,000 บาท

สนใจติดต่อ
086-3558842 ยุ้ย
088-0123084 หนุ่ม

รับฝาก-ขาย บ้านที่ดิน อสังหาริมทรัพย์ทุกประเภท
บริษัท เซียน พร๊อพเพอร์ตี้ จำกัด

พื้นที่ : 84ตรว.

บ้านค่าย , จังหวัดระยอง

คำแนะนำสำหรับผู้ขาย

เราให้ผู้ประกอบการสามารถลงประกาศอสังหาฯ เช่น คอนโด บ้านเดี่ยว ทาวน์เฮ้าส์ ที่ดิน หอพัก อพาร์ทเม้นท์ อสังหาริมทรัพย์ครอบคลุมทุกประเภท สมัครสมาชิกและลงประกาศโครงการของคุณได้ฟรี

คำแนะนำสำหรับผู้เช่า

การเช่าอสังหาฯ ขึ้นอยู่กับดุลยพินิจของผู้เช่า แนะนำให้ติดต่อและขอรายละเอียดผู้ประกาศให้เช่า อสังหาริมทรัพย์ เราไม่มีส่วนเกี่ยวข้องให้การทำธุรกรรมของคุณทั้ง 2 ฝ่าย เป็นเพียงผู้ให้บริการประชาสัมพันธ์เพื่อขยายโอกาสและช่องทางให้ผู้ประกอบ การและผู้เช่าให้มากขึ้น

คำแนะนำสำหรับผู้ซื้อ

การซื้อ-ขาย อสังหาฯ ทีมงานจะตรวจสอบความถูกต้องของข้อมูลในระดับหนึ่ง ก่อนที่จะอนุมัติให้ประกาศแสดงผลบนหน้าเว็บไซต์ ซึ่งจะช่วยให้คุณได้ข้อมูลที่ถูกต้อง ทั้งนี้ทั้งนั้นคุณควรตรวจสอบข้อมูล คำแนะนำ และคำเตือนอย่างละเอียด เพื่อป้องมิจฉาชีพหรือผู้ไม่หวังดี

เกี่ยวกับเว็บไซต์

Urban.in.th เว็บไซต์อสังหาฯที่รวม คอนโด บ้านเดี่ยว ทาวน์เฮ้าส์ ที่ดิน หอพัก อพาร์ทเม้นท์ – เราเป็นศูนย์กลางข้อมูลการซื้อ ขาย ให้เช่าอสังหาริมทรัพย์ในประเทศไทย ซึ่งคุณสามารถค้นหา อสังหาฯ ที่ต้องการได้ทันที จากรายการประกาศซื้อ ขาย ให้เช่าอสังหาฯ พร้อมทั้งรูปภาพ แผนที่ วีดีโอและเอกสารอื่นได้อย่างสะดวก รวดเร็ว