ขายที่ดินลำลูกกาคลอง 4 ห่างถนนพระองค์เจ้าสายคลองสี่ 500 เมตร

ประเภทอสังหาฯ ที่ดิน

ทดสอบ
Verified
(061) 664-9891
เข้าชม 😲  6 ครั้ง, ประกาศเมื่อ 23 เม.ย. 2569
ลำลูกกา , จังหวัดปทุมธานี

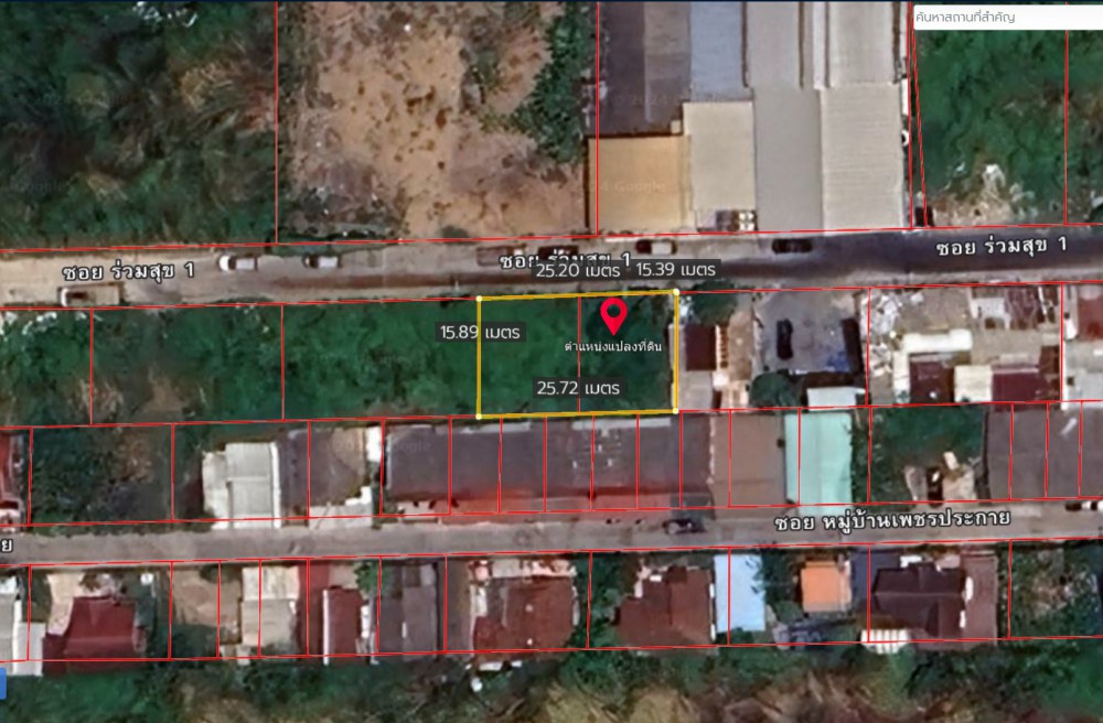
ขายที่ดินลำลูกกาคลอง 4
ต.ลาดสวาย อ.ลำลูกกา จ.ปทุมธานี

เนื้อที่ 100 ตารางวา
โฉนด 2 ใบ
ผังเมืองสีเหลือง

ห่างถนนพระองค์เจ้าสายคลองสี่ 500 เมตร
หน้ากว้าง 25 เมตร ลึก 16 เมตร
แหล่งอุตสาหกรรม

ขายเพียง 2.5 ล้าน

สอบถามเพิ่มเติม นัดดูบ้านและที่ดิน ติดต่อ
Tel : 062-5566954 (คุณปุ้ย) | Line ID : 0616649897

#ขายที่ดินเปล่าลำลูกกา
#ขายที่ดินลำลูกกาคลอง4
#ขายที่เปล่าปทุมธานี

พื้นที่ : กรุณาอัพเดทพื้นที่ประกาศ

ลำลูกกา , จังหวัดปทุมธานี

คำแนะนำสำหรับผู้ขาย

เราให้ผู้ประกอบการสามารถลงประกาศอสังหาฯ เช่น คอนโด บ้านเดี่ยว ทาวน์เฮ้าส์ ที่ดิน หอพัก อพาร์ทเม้นท์ อสังหาริมทรัพย์ครอบคลุมทุกประเภท สมัครสมาชิกและลงประกาศโครงการของคุณได้ฟรี

คำแนะนำสำหรับผู้เช่า

การเช่าอสังหาฯ ขึ้นอยู่กับดุลยพินิจของผู้เช่า แนะนำให้ติดต่อและขอรายละเอียดผู้ประกาศให้เช่า อสังหาริมทรัพย์ เราไม่มีส่วนเกี่ยวข้องให้การทำธุรกรรมของคุณทั้ง 2 ฝ่าย เป็นเพียงผู้ให้บริการประชาสัมพันธ์เพื่อขยายโอกาสและช่องทางให้ผู้ประกอบ การและผู้เช่าให้มากขึ้น

คำแนะนำสำหรับผู้ซื้อ

การซื้อ-ขาย อสังหาฯ ทีมงานจะตรวจสอบความถูกต้องของข้อมูลในระดับหนึ่ง ก่อนที่จะอนุมัติให้ประกาศแสดงผลบนหน้าเว็บไซต์ ซึ่งจะช่วยให้คุณได้ข้อมูลที่ถูกต้อง ทั้งนี้ทั้งนั้นคุณควรตรวจสอบข้อมูล คำแนะนำ และคำเตือนอย่างละเอียด เพื่อป้องมิจฉาชีพหรือผู้ไม่หวังดี

เกี่ยวกับเว็บไซต์

Urban.in.th เว็บไซต์อสังหาฯที่รวม คอนโด บ้านเดี่ยว ทาวน์เฮ้าส์ ที่ดิน หอพัก อพาร์ทเม้นท์ – เราเป็นศูนย์กลางข้อมูลการซื้อ ขาย ให้เช่าอสังหาริมทรัพย์ในประเทศไทย ซึ่งคุณสามารถค้นหา อสังหาฯ ที่ต้องการได้ทันที จากรายการประกาศซื้อ ขาย ให้เช่าอสังหาฯ พร้อมทั้งรูปภาพ แผนที่ วีดีโอและเอกสารอื่นได้อย่างสะดวก รวดเร็ว